1月29日,中国气象局召开新闻发布会,公布“2025年国内、国际十大极端天气气候事件”评选结果。
入选国内十大极端天气气候事件的是:年度高温日数刷新纪录,江南、华南“秋老虎”发威;华北雨季“超长待机”,创多项历史之最;北方暴雨“点强面广”,多地出现严重洪涝;超强台风“桦加沙”三次登陆带来强风雨;华南、豫陕、黄淮干旱接续,局地灾情严重;“麦德姆”大闹双节假期,中央气象台发布红色预警;全年九轮寒潮席卷我国,早春气温起伏就像“过山车”;四月多地大风破纪录,引发近十年最大范围沙尘天气;秋雨绵绵不休,华西至黄淮秋收秋种延迟;全年十台访粤平历史纪录,九月三台连击致风雨异常。
国际十大极端天气气候事件主要包括:美国得州遭遇百年罕见强降雨,引发严重山洪;高温热浪侵袭,大停电与致命野火“烤”验欧洲;全球风王“梅利莎”重创加勒比海地区;创纪录暴雪袭击日本,局地积雪厚度超4米;太阳风暴频发,影响航空航天安全;墨西哥“双风暴”引发特大洪灾;全球变暖持续,联合国气候大会凝聚全球共识;“森亚尔”风暴引爆致命天灾,苏门答腊岛超千人遇难;60年来最严重洪灾重创尼日利亚;伊朗遭遇半个世纪以来最干燥秋季,引发供水危机。
评选活动由中国气象局主办,国家气候中心承办,国家气象中心、国家卫星气象中心、公共气象服务中心、气象宣传与科普中心(中国气象报社)等单位参与。该评选活动自2004年起已成功举办22年,旨在引起公众对气象灾害和极端天气气候事件的关注,提升气象灾害防御主动性和自救互救意识,提高全社会防御气象灾害的能力。
2025年国内十大极端天气气候事件
1.年度高温日数刷新纪录,江南、华南“秋老虎”发威

左图为2025年全国高温日数分布,右图为重庆高温天气下电力工作者身着绝缘服进行带电作业
2025年全国平均高温日数为16.5天,较常年偏多7.4天,为1961年以来历史最多,晋陕鲁豫鄂赣6省高温日数均创新高,南昌长达79天,较历史记录(2022年,59天)大幅增加20天。重庆巫溪(39天)、浙江杭州(37天)等87站连续高温日数达历史极值。年度最强高温过程(2025年6月30日至9月9日)持续72天,为历史第三长,综合强度为1961年以来第四强,全国超四成站点出现38℃及以上高温,新疆吐鲁番东坎(48.7℃)、重庆巫溪(44.2℃)等56个国家站日最高气温达历史极值。入秋后,江南、华南北部出现大范围“秋老虎”天气,江西、浙江、福建等地高温日数在20天以上,131个站日最高气温超38℃。
2.华北雨季“超长待机”,创多项历史之最

图为2025年华北雨季降水距平百分率分布
2025年华北雨季开始时间之早、雨季之长和累计雨量之多均为1961年以来之最。开始最早:自2025年7月5日开始,较常年(7月18日)偏早13天;于2025年9月2日结束,较常年(8月17日)偏晚16天。持续时间最长:达59天(不含结束日),较常年(30天)偏长29天。累计雨量最大:雨季降水量356.6毫米,较常年(136.6毫米)偏多1.6倍。
3.北方暴雨“点强面广”,多地出现严重洪涝

图为暴雨导致道路被淹
2025年夏季北方暴雨过程多,局地极端性强,汛情灾情重。2025年7月23日至29日,华北多地遭遇严重暴雨洪涝。河北承德兴隆累计雨量达650.1毫米,创当地历史纪录。北京降雨持续147小时,超过“23·7”的83小时,密云郎房峪最大累计雨量达573.5毫米,超过年均降水量的九成。潮白河发生1959年以来最大洪水,密云水库入库流量创新高。内蒙古出现综合强度最强的暴雨过程,太仆寺旗等5个国家站日降水量突破历史极值,五原县小时雨强(83.4毫米)超过历史极值。2025年8月上旬,甘肃多地出现区域性强降雨过程,引发严重暴雨洪涝灾害,兰州、临夏等地15.5万人不同程度受灾,死亡失踪52人。
4.超强台风“桦加沙”三次登陆带来强风雨

图为台风“桦加沙”登陆广东阳江海陵岛,沿海道路成沙河
2025年西北太平洋最强台风是18号台风“桦加沙”,巅峰强度达17级以上(62米/秒),维持超强台风级别超81小时,远超2024年超强台风“摩羯”(64小时)。“桦加沙”于2025年9月24日以台风级强度登陆广东阳江,25日又在北海和防城港两次登陆广西,给华南、华东等地带来强风雨天气。受风暴增水影响,广东珠海海水倒灌现象突出。广东江门台山市最大阵风达67米/秒,破当地历史纪录。
5.华南、豫陕、黄淮干旱接续,局地灾情严重

左图为2025年4月17日全国气象干旱监测图,右图为2025年4月广西桂林一处干旱开裂的水田
由于温高雨少,2025年初华南和长江中下游地区发生冬春连旱。2025年1月22日气象干旱面积达峰值(约129.1万平方公里,其中特旱64.5万平方公里)。广西等地春旱突出,2025年4月17日自治区97.5%面积受旱,特旱范围达68.7%,甘蔗、玉米等经济作物受损。春夏之交,西北地区东部、黄淮及四川东部气象干旱迅速发展,2025年5月21日陕甘宁豫晋5省(自治区)特旱面积最高达35.1万平方公里。2025年7月,黄淮、江淮地区高温少雨,河南、皖北、苏北等地农田缺墒,影响秋粮生长。
6.“麦德姆”大闹双节假期,中央气象台发布红色预警

图为台风“麦德姆”过后环卫工人冒雨清理路面
2025年10月5日至6日,正值国庆中秋假期,第21号台风“麦德姆”先后以强台风级和强热带风暴级登陆广东和广西,是2025年登陆我国大陆的最强台风,登陆时中心最大风力14级(42米/秒),登陆广西强度是1951年以来历史同期最强,中央气象台发布2025年首个台风红色预警。“麦德姆”给华南沿海带来较强风雨天气,导致广东湛江、茂名等地出现城市暴雨积涝,广西百色等地出现持续性积涝,沿海渔业养殖损毁严重。
7.全年九轮寒潮席卷我国,早春气温起伏就像“过山车”

图为2025年3月25日至30日冷空气过程最大降温
2025年共有30次冷空气过程影响我国,其中9次为寒潮(较常年偏多3.7次)。2025年3月出现两轮全国型寒潮天气,冷暖波动大,25日至30日发生年度最强寒潮,降温幅度大、持续时间长、沙尘雨雪等多种灾害性天气交织。江南及山西中部等地最大降温幅度超过20℃,内蒙古西部出现沙尘暴,东北地区及陕西中部、山西南部等地出现降雪(雨)。2025年10月18日至20日,受冷空气影响,东北地区南部、华北东部等地降温8℃至10℃,导致这些地区“秋短冬早”。
8.四月多地大风破纪录,引发近十年最大范围沙尘天气

图为2025年4月11日至14日全国最大阵风实况图
2025年全国平均大风(瞬时风速≥17.2米/秒)日数达18.6天,为1991年以来最多。全国有九成以上的国家站监测到大风,数量创1984年以来新高。2025年4月10日至14日,23个省(自治区、直辖市)出现12级以上阵风,64个国家站最大风速破历史极值。北京市发布近十年来首个全市大风橙色预警。伴随极端大风过程,中东部出现近十年来最大范围沙尘天气,覆盖面积超430万平方公里,沙尘最远传输到了海南北部。
9.秋雨绵绵不休,华西至黄淮秋收秋种延迟

左图为2025年华西秋雨期间全国降水量分布,右图为丹江口水库开闸泄洪
2025年华西秋雨具有持续时间长、降水日数多、累计雨量大等特点。持续时间长:2025年8月25日开始,11月11日结束,雨期共78天,较常年偏长16天。降水日数多:平均降水日数达42天,为历史同期第三多,重庆城口(34天)、陕西宁强(29天)、湖北老河口(28天)等17站连续降水日数突破历史极值。累计雨量大:秋雨量达387.1毫米,接近常年的两倍,为1961年以来最多。受持续降水影响,汉江发生7次编号洪水,其中2号至5号洪水集中在15天内发生,为有实测资料以来“最密集秋汛”。华西至黄淮一带秋收进度显著偏慢,冬小麦播种明显延迟。
10.全年十台风访粤平历史纪录,九月三台风连击致风雨异常

图为2025年登陆广东的6个台风移动路径
2025年,共10个热带气旋登陆或严重影响广东省,较常年偏多4.2个,与1961年并列为历史最多,其中6个登陆广东。第1号台风“蝴蝶”于2025年6月11日生成(较常年首个台风显著偏晚),13日至14日先后在海南和广东登陆,为2025年首个登陆我国的台风,较常年首个登陆台风偏早。第21号台风“麦德姆”以强台风级登陆,为今年登陆我国大陆的最强台风。2025年9月,第16号台风“塔巴”、17号台风“米娜”和18号台风“桦加沙”在16天内接连登陆广东。西太平洋和南海海温偏高,水汽条件充足,大气环流稳定,共同导致台风生成数量多,位置偏西,并频繁影响广东。
2025年国际十大极端天气气候事件
1.美国得州遭遇百年罕见强降雨,引发严重山洪

图为2025年7月5日美国得克萨斯州克尔县遭遇洪水袭击
2025年7月3日深夜至4日凌晨,美国得克萨斯州中部遭遇持续数小时的强降雨,克尔县、梅森县累计降雨量分别达到约245毫米和406毫米,4日凌晨克尔县亨特镇3小时内降雨量达到常年月降水量,百年罕见;5日,奥斯汀市及附近数县再遭暴风雨袭击。持续暴雨引发多处山洪暴发,冲毁道路和桥梁,房屋和车辆损毁,导致百余人死亡,多人失踪,其中一个夏令营营地被洪水摧毁,数十名儿童下落不明。
2.高温热浪侵袭,大停电与致命野火“烤”验欧洲

左图为2025年6月10日至16日欧洲部分区域最高气温(单位:℃)监测图;右图为西班牙巴塞罗那一家小超市点蜡烛营业
2025年,欧洲遭遇了一系列破纪录的极端高温天气,引发严重的能源危机与生态灾难。4月下旬,西班牙、葡萄牙等地出现异常高温,科尔多瓦气温达38.8℃,创下当地4月历史纪录。用电负荷激增导致西班牙和葡萄牙发生大规模停电事故。进入初夏6月,热浪持续加剧且范围扩大,葡萄牙莫拉镇气温飙升至46.6℃,西班牙南部达46℃,法国多地突破40℃,上千人因高温死亡。高温干旱条件下,自6月起野火在欧洲南部多点爆发、持续蔓延:希腊希俄斯岛、法国马赛和奥德省、塞浦路斯利马索尔等地相继发生严重山火,造成人员伤亡、大规模疏散与数万公顷林地烧毁。直至8月,葡萄牙、西班牙、阿尔巴尼亚、希腊等地野火仍在肆虐。
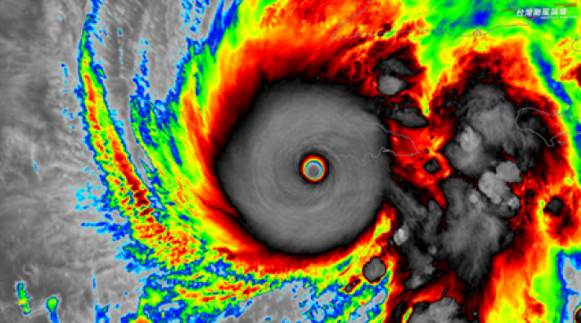
3.全球风王“梅利莎”重创加勒比海地区

图为超强风王“梅丽莎”雷达回波图
2025年10月,五级飓风“梅利莎”以接近每小时300公里的惊人持续风速横扫加勒比海地区,风速在24小时内从113公里/小时飙升至295公里/小时,创下大西洋飓风增强速度纪录,也是自1851年有记录以来登陆牙买加最强飓风,牙买加和海地遭受灾难性破坏,数十人遇难,电网特别是高压输电主干网受损严重。古巴和海地进行了大规模疏散与安置,灾后仍有数万人流离失所。
4.创纪录暴雪袭击日本,局地积雪厚度超4米

图为2025年2月4日日本札幌郊外被积雪覆盖的道路
2025年2月上中旬,受强寒潮影响,日本北部和西部沿海地区遭遇创纪录的强降雪天气,北海道带广市12小时降雪量达129厘米,多地积雪厚度超过4米。暴雪导致公路封闭,铁路停运,数百辆汽车被困,交通网络几近瘫痪。大雪还引发了多次雪崩,威胁山区社区安全。此次雪灾共造成10多人死亡,超过170多人受伤。
5.太阳风暴频发,影响航空航天安全

图为漠河极光 图片来源:国家空间天气监测预警中心
2025年,太阳处于第25活动周峰年阶段,太阳风暴频发。10月下旬,疑因太阳辐射引发的单粒子翻转事件,空客A320客机出现非指令性俯冲(不受控制地向下俯冲),空客公司宣布A320系列客机紧急停飞。11月9日至14日,太阳连续爆发多次X级耀斑,产生多个日冕物质抛射事件。11月12日发生特大地磁暴,包括中国在内的世界多地欣赏到了美丽的极光现象,美国国家航空航天局(NASA)火星探测卫星的发射受磁暴影响而推迟。
6.墨西哥“双风暴”引发特大洪灾

图为墨西哥韦拉克鲁斯州波萨里卡洪水过后的街道
2025年10月初至中旬,受热带风暴“普丽西拉”和“雷蒙德”影响,墨西哥中部和东部地区遭遇特大暴雨洪涝灾害。山洪和河水泛滥席卷多个城镇,造成百余人死亡和失踪。此次灾害为2025年美洲地区最致命的暴雨洪涝事件之一,灾区基础设施损毁严重,救援行动持续多日。
7.全球变暖持续,联合国气候大会凝聚全球共识

图为1850年至2025年全球地表平均温度距平序列(相对1850年至1900年平均值)
2025年全球地表平均温度较工业化前水平(1850—1900年平均值)升高1.40℃,较常年值(1991—2020年平均值)偏高0.52℃,成为全球有气象记录以来第三暖年。过去三年(2023—2025年)是有观测记录以来最暖的三年,全球气候变暖趋势在持续。在《巴黎协定》签署十周年之际,2025年11月10日至22日,《联合国气候变化框架公约》第三十次缔约方大会(COP30)巴西贝伦召开,各国共商应对气候变化事宜。大会通过名为《全球动员 团结协作应对气候变化挑战》的总体协议,就减缓、适应、气候融资、国际合作等多项议题达成共识。
8.“森亚尔”风暴引爆致命天灾,苏门答腊岛超千人遇难

图为2025年11月30日,印度尼西亚苏门答腊岛受灾民众乘卡车出行
2025年11月下旬至12月初,罕见热带气旋风暴“森亚尔”引发印度尼西亚苏门答腊岛持续强降雨,造成了大规模洪水与山体滑坡灾害,导致超千人遇难,100多人失踪,330多万人受灾,大批房屋、学校、桥梁等基础设施被毁,加之道路中断与通信受阻,这是自2018年以来印尼遭遇的最严重自然灾害,也是2006年以来印尼死亡人数最多的天灾。
9.60年来最严重洪灾重创尼日利亚

图为尼日利亚莫夸镇被洪水冲垮的房屋
2025年5月28日,尼日利亚中北部尼日尔州莫夸地方政府区遭持续数小时强降雨,引发该地区60年来最严重洪灾,造成至少200人死亡、500多人失踪。洪水淹没多个社区,造成房屋、桥梁及道路损毁,超3000人流离失所。
10.伊朗遭遇半个世纪以来最干燥秋季,引发供水危机

图为德黑兰干涸的坎河河床
2025年秋季是伊朗过去50年来最干燥的秋季,首都德黑兰的降雨量更是达到百年来最低。伊朗已经第六年连续干旱,全国多地水资源几近枯竭,至少有15个省份受到严重影响,首都德黑兰及第二大城市马什哈德形势尤为严峻。乌尔米耶省3条常年河流因干旱断流,为德黑兰供水的几座关键水坝,平均蓄水容量仅剩余约10%,其中阿米尔卡比尔大坝的蓄水量仅为库容的8%,创下60年来最低水平。首都饮用水供应告急,数百万人的正常生活受其影响;农业与能源生产遭受重创,生态环境也出现灾难性后果,最大湖泊乌鲁米耶湖已基本干涸。
(作者:刘蕊 责任编辑:闫泓)